|
RCBJ-Audible (Listen For Free)
|
Town Earmarked CHPE Money To Pay For RCDS Campus; In the Interim Refinanced Debt Due From Acquisition of RCDS With $3.315 Million In Long-Term Serial Bonds
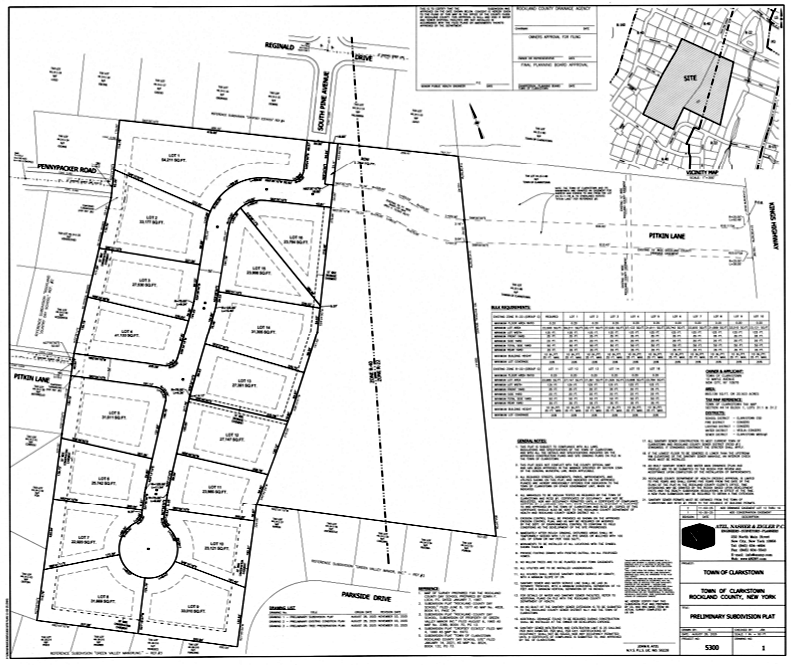
Idyllic plans for the former Rockland Country Day School have devolved from the preservation of open space and establishment of parkland to a 17-lot residential subdivision for single family homes on lots ranging from 24,000 to 33,000 square feet.

The proposed subdivision will preserve two of the seventeen lots for open space and parkland, with 15 lots either centered around a cul de sac or clustered together off Pitkin Lane in Congers.
In September, Clarkstown declared 13 of the 22 acres as surplus municipal property available for sale. This Wednesday, initial plans for the subdivision are being presented to the Clarkstown Planning Board. Town officials said they believe the 15 single-family homes will preserve the “nature and character” of the neighborhood.
The designation of the land as “surplus municipal property,” was a necessary preliminary step needed to prepare a Request for Proposal (RFP) from developers.
“We have a housing shortage,” said Clarkstown Supervisor George Hoehmann. “We’ve been at this for years. We’ve been engaging residents. This is what neighbors want.”
Clarkstown purchased the Rockland Country Day School 22-acre campus at 32-34 Kings Highway in Congers in 2018 for $4.4 million. For the first two years after the purchase, the nonprofit school, which was tax exempt, was paying a fee to the town to lease back the land it sold.
Rockland Country Day School closed after 60 years due to falling enrollment and financial woes. The school declared Chapter 7 bankruptcy, and ultimately shuttered in 2019, leaving the town to scramble for new tenants but they were unsuccessful.
A Bond Anticipation Note (BAN) in the amount of $4,450,000 was originally sold in 2018 by the town to pay for the purchase of Rockland Country Day School. Over the years, the town paid down some of the balance and refinanced $3.525 million in 2024 with a new BAN. That BAN was paid off in March of 2025 by the issuance of long-term serial bonds (payable through 2040) in the amount of $3,315,000.
When Town Supervisor George Hoehmann announced the agreement to purchase the RCDS in 2018, he said the town would initially finance the cost of the acquisition through bonding, and would “utilize outside funding sources to pay the bonds quickly and at a cost that is as revenue neutral to taxpayers as possible.”
Hoehmann represented that a significant portion of the $3.9 million allocated to Clarkstown by the Champlain Hudson Power Express (CHPE)’s “Haverstraw Bay Community Benefit Fund” would be used toward the purchase of the Rockland Country Day School. Instead, the town has largely maintained the underlying debt on the property, with taxpayers obligated to pay bond principal and interest through 2040.
Hoehmann said, “The balance of the CHPE money will be paid at the conclusion of the project which is expected later this year.” He did not indicate whether he still intended utilize the CHPE money to reduce the debt.
At the time of the acquisition, Hoehmann said, “I have made preserving, protecting and enhancing Clarkstown’s quality of life my number one priority. A key part of that goal is identifying opportunities to purchase lands that could be used to preserve open space or provide more opportunities for our residents to enjoy increased access to parks and other recreational activities.”
The 20.5-acre campus was originally a working farm, which served as a unique setting for RCDS students. The campus contains three academic buildings, an art studio building, a cottage, STEAM Lab, several ball fields, a gymnasium, an organic garden and open space. An effort to preserve the art studio building for public use garnered more than 210 signatures in an online petition, but preservation of the art studio is not in the plans prepared by the town.
In 2021, the town floated the idea of putting affordable senior housing or housing for volunteer firefighters or EMT workers on the site.
In 2023, it retained local architect Michael Shilale to conduct “visioning sessions” and a feasibility study for the property. On the table at the time was new housing or adaptive reuse of the existing buildings.
Former Assemblyman Kenneth Zebrowski, who secured an allocation of $200,000 for this purchase said at the time, “I am pleased to be able to partner with Supervisor Hoehmann to help secure state funding to aid in the purchase of this lovely campus and look forward to the opportunity to further help in making it a destination for the people of Clarkstown to enjoy.”
Councilman Don Franchino supported the original acquisition and voted in favor of declaring the land as surplus. At the time of acquisition, he said, “For myself and the other council members, this is a great example of the good that comes with fostering a strong relationship with the educational, cultural and civic organizations around the town. We will continue to identify many more opportunities to partner with others in developing programs and services that serve our seniors and youth.”
The housing plan is subject to a SEQRA review by the Planning Board, including demolition of existing structures. The proposed subdivision calls for a 30-foot wide conservation easement separating the housing lots from the neighboring properties and a 1.1 acres stormwater detention pond.





















